د لاس رسي وړ اتصالات

د "ډوریان"توپان په امریکا کې پنځه کسان مړه کړي


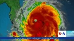
د ډورین توپان
د ډورین توپان

د امریکا په جنوب کې د بهاما په ټاپوګانو کې د سخت توپان له کبله نن سه شنبه (سپټمبر۳) پنځه کسان مړه شوي دي.

د امریکا د سمندري توپان مرکز وايي چې د دوشنبې په شپه د ډوریان په نوم توپان د بهاما ټاپوګان سخت ځپلي چې ورسره باد او شدید باران هم مله وو.

چارواکي وايي چې لږترلږه پنځه کسان په اباکو جزیرې کې مړه شوي دي، که څه هم توپان له سیمې څخه د تېرېدو په حال کې دی.

د بهاما د بهرنیو چارو وزیر ډارین هینفلډ وايي خلکو ته ویلي چې له کورونو و نه وځي.

ښاغلی هینفلډ وايي غواړي چې په "ابادکو" کې خلکو ته ووایو چې په کورونو کې پاتې شئ، دا سیمه لا تهدیدیږي او بهر ځای خوندي نه دی.

د بریښنا ستنې نړیدلي، د ټرافیکي څراغونو ستنې نړیدلي، ونې په سړکونو پرتې دي، کله چې هوا ښه شوه هغه کسان چې له ستونزو سره مخ دي، د ژغورنې کسان به ورشي. موږ ددې کار لپاره تیاری نیولی دی.

د هوا پیژندنې ادارې اټکل کړی چې دا توپان څلور درجې وو چې د سه شنبې په ورځ د فلوریډا ایالت ختیځې خوا ته ورسیږي او د چهارشنبې او پنجشنبې په ورځو کې به د جورجیا او شمالي کارولینیا ته ورسیږي.

په امریکا کې د ډوریان توپان پنځه کسان مړه کړې دي
please wait

No media source currently available

0:00 0:01:43 0:00

د فلوریډا او جنوبي کارولینیا په میلیونونو اوسیدونکو ته ویل شوي چې خوندي سیمو ته لاړ شي. په شمالي کارولینیا کې بیړنی حالت اعلان شوی او کیدای شي د چهارشنبې په ورځ دغې سیمې ته د توپان څپې راورسیږي.

د شمالي کارولینا والي روی کوپر وايي ګومان کیږي چې دا توپان چټک شي او دلته راورسیږي.

که د امریکا سواحلو ته د ډوریان توپان څپې را ونه رسیږي، بیا هم تمه کیږي چې د باران کچه به ۲۵ سانتي مترو ته ورسیږي، د سیلاب د راوتلو او بوړبکیو د راوتو خطر لیدل کیږي.

د ډوریان توپان تر ټولو خطرناک ډول بلل شوی چې نن به یې کچه له څلورو درجو څخه دریو ته راټیټه شي. له توپان سره ۱۲۰ کیلو متره په ساعت کې باد هم مل دی، د لومړنیو معلوماتو له مخې په ګرنډ بهاما او اباکو ټاپوګانو کې لږترلږه ۱۳ زره کورونه یې زیانمن کړېدي.

XS
SM
MD
LG